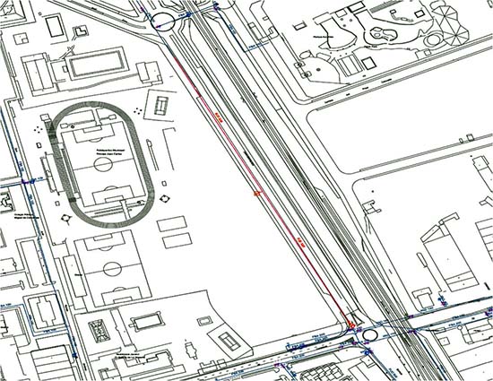
Este martes 26 de junio comenzarán las obras de renovación de las tuberías en la Avenida de Europa comprendido entre la carretera de Carrión de Calatrava y la Avenida de Camilo José Cela, por detrás del Polideportivo Rey Juan Carlos I.

Se trata de la segunda fase de la sustitución de la actual red de agua potable formada una tubería de fibrocemento situada bajo el carril bici que discurre en el tramo indicado de la Avenida de Europa, en paralelo al cerramiento del polideportivo Príncipe Juan Carlos de la capital.
Se actuará en un tramo de 402 metros de tubería de fibrocemento se encuentra en un estado precario debido al envejecimiento del material, lo que provocaba importantes fisuras y grietas que derivaban en elevadas fugas de agua y roturas frecuentes, con la correspondiente pérdida de agua.
Desde el Ayuntamiento se han potenciado las obras de sustitución de las antiguas tuberías de fibrocemento, que se están cambiando por tuberías de fundición dúctil de 500 mm. También se instalarán 5 válvulas de compuerta, una ventosa trifuncional y un hidrante enterrado, así como la conexión con las redes existentes.
Barahona Obras y Servicios SL será la encargada de realizar estas obras que cuentan con un presupuesto de 101.638,79 euros y un plazo de ejecución de dos meses.
Mientras tanto ya han culminado las obras de renovación de la red de abastecimiento de la Avenida de Europa en su primera fase (desde la rotonda del AVE hasta la avenida del Parque de Cabañeros) ejecutadas por AQUONA, que han contado con un presupuesto de 247.799 euros.
Después de realizar las correspondientes pruebas, la nueva tubería de 750 metros ya cuenta con agua y está dando servicio. Cuando se complete la segunda fase de las obras de esta calle, se cerrara el anillo principal de 500 mm en fundición del que se alimenta Ciudad Real desde los depósitos de La Atalaya.








Un modelo de renovación de redes de abastecimiento de agua con criterios de desarrollo sostenible que tiene en cuenta, por un lado, el ámbito de las personas y, por otro, la ciudad.
Unas actuaciones muy necesarias que han esperado a materializarse un largo tiempo…..